REQUEST A TOUR If you would like to see this home without being there in person, select the "Virtual Tour" option and your agent will contact you to discuss available opportunities.
In-PersonVirtual Tour

Listed by Bob Loner • Realty Executives SCV
$ 1,395,000
Est. payment /mo
Active
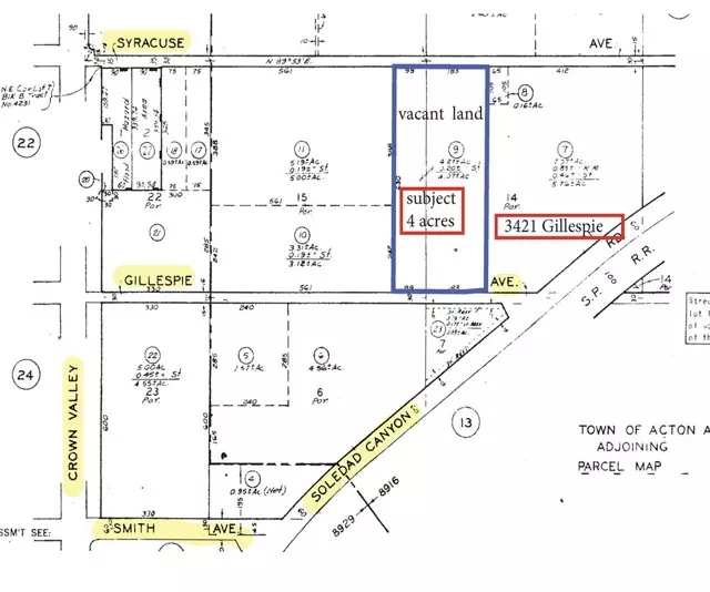
3362 Syracuse AVE Acton, CA 93510
4 Sqft Lot
UPDATED:
Key Details
Property Type Vacant Land
Sub Type Other Residential Land
Listing Status Active
Purchase Type For Sale
MLS Listing ID CRSR25087438
Lot Size 4 Sqft
Property Sub-Type Other Residential Land
Source California Regional MLS
Property Description
Description 4.27 Acres Industrial Acres Available Tough zoning to find in Acton, not too much M1. Lot has easy Ingress / Egress to lot off two paved streets, Gillespie on one side Syracuse on the other. Lot Very Visible from Soledad Canyon Road Topo Is Level to Very Gentle Slope -all useable Zoned M1 Light Industrial (IL) Electric on Property Along with Producing Water Well Very pleasing to the eye piece of Property
Location
State CA
County Los Angeles
Area Acto - Acton
Zoning PAV,UO,LV
Exterior
Fence Chain Link
View Panoramic
Building
Lot Description Paved
Water Private, Well - Shared
Others
Tax ID 3208019009
Special Listing Condition Not Applicable

© 2025 MLSListings Inc. All rights reserved.






