REQUEST A TOUR If you would like to see this home without being there in person, select the "Virtual Tour" option and your agent will contact you to discuss available opportunities.
In-PersonVirtual Tour

Listed by Mehdi Mostaedi • NAI Capital, Inc.
$ 55,000
Est. payment /mo
Price Dropped by $15K
0 Helendale RD Adelanto, CA 92301
8 Sqft Lot
UPDATED:
Key Details
Property Type Vacant Land
Sub Type Other Residential Land
Listing Status Active
Purchase Type For Sale
MLS Listing ID CRHD24200401
Lot Size 8 Sqft
Property Sub-Type Other Residential Land
Source California Regional MLS
Property Description
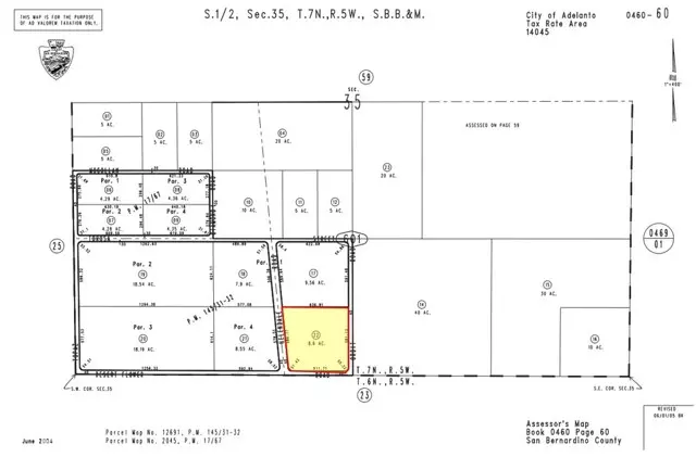
±8.6 acres of unimproved residential land at the corner of Desert Flower and Helendale Rd in Adelanto; APN: 0460-601-22. Zoned Desert Living (DL-9) this lot permits for the development of 1 dwelling unit per 9 acres. This location is also within a Qualified Opportunity Zone and eligible for potential tax benefits. This site abuts the Southern California Logistics Airport. The Airport recently completed approximately 4MM square ft of expansion and is now home to major global leaders of industry such as Amazon, Boeing, GE Aviation, Kuerig Dr. Pepper, M&M/Mars, Newell Rubbermaid, and more. As an extension of the Inland Empire, the High Desert continues to grow with millions of square feet of planned industrial and tens of thousands of housing units under construction. Buyer to verify all information contained herein. Agent and their representatives are not responsible for the accuracy of these claims.
Location
State CA
County San Bernardino
Area Adl - Adelanto
Zoning NL
Exterior
View Other
Building
Water Other
Others
Tax ID 0460601220000
Special Listing Condition Not Applicable

© 2025 MLSListings Inc. All rights reserved.


